Listing Info
Name
Address
2718 O'Reilly Road
Legal
Site Size
Sites
Income
$0
Price
$4,100,000
Status
Active
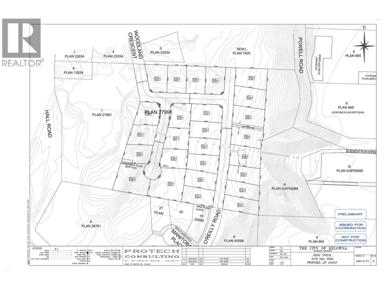
Description
Exceptional Development Opportunity – 15.99 Acres (Not in the ALR). Rare chance to acquire a prime 15.99-acre holding property outside the ALR, offering immense development potential. Currently zoned RR1, with city sewer and water services adjacent to the property—a major infrastructure advantage. Development Potential: Preliminary plans by Protech available for a proposed 28-lot subdivision. Prime Location: Centrally located, just minutes to downtown, Orchard Park Mall, Costco, and major transit routes. Existing Home: Well-maintained 3,300 sq ft residence on-site — dated, but livable and income-generating during planning phases. Flexible Options: Seller open to remaining involved as a partial equity partner. Whether you're a developer, investor, or land banker, this is a rare opportunity to secure one of the last large, developable parcels in a sought-after urban location. (id:6769)


