Listing Info
Name
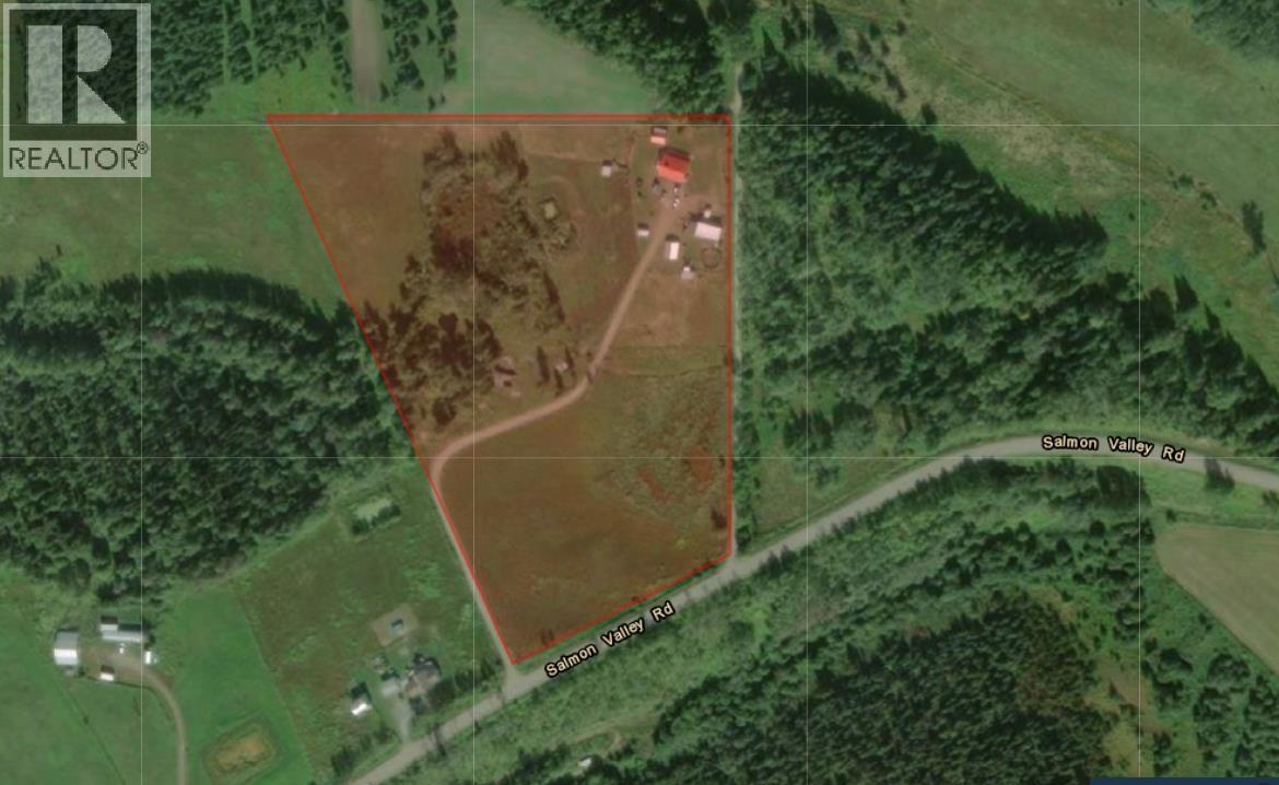
Address
11020 SALMON VALLEY Road
Legal
Site Size
Sites
Income
$0
Price
$575,000
Status
Active
Description
Escape to the tranquility of Salmon Valley with this charming 2-level log home on 12.47 acres. Enjoy peaceful country living just 30 minutes from downtown Prince George and close to the amenities in the Hart. The home features a spacious wrap-around deck—perfect for relaxing and taking in the natural surroundings. Horse lovers will appreciate the fenced and cross-fenced pastures, offering plenty of space for animals to roam. Several outbuildings provide ample storage for tools, equipment, or tack. Whether you're seeking a hobby farm or a private rural retreat, this property offers the perfect blend of rustic charm and practical amenities. All measurements are approximate; buyer to verify if deemed important. (id:6769)


